Editor’s note: Read to part 1
Practically speaking, the best stewards of any resource are the folks who value its longevity. B.A.S.S. tournament anglers are not the only ones exemplifying this truth, but whether it’s modest use of ice in livewells, or properly fizzing (venting) deep-caught fish before release, Bassmaster Elite events certainly showcase best practices.
Every fish matters, but the jumbos that tournament anglers seek deserve the extra care they often require.
“The fish heavier than 5 pounds are often over 12-15 years old,” said Dr Bruce Tufts, Professor and Fisheries Biologist at Queens University, in Kingston, Ontario. “We’ve actually aged a smallmouth that was 21 years old. The biggest fish are the ones you want to create more offspring, because they have the best genetics.”
Personal data
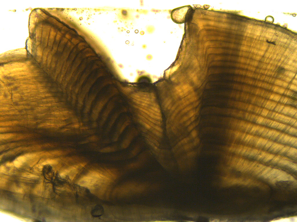
So, how do biologists determine fish age? Two methods, one of which benefits from tournament assistance.
As Tufts explained, examining the growth patterns of fish scales provides reliable aging for younger fish up to about year five. The other method, effective on fish of all ages, but pretty much the requirement for older ones, examines an inner ear bone called the otolith. Taking a cross-section view, biologists count annual age rings, similar to those found inside a tree.
Scale samples can be taken from live smallmouth prior to release, while biologists remove otoliths from deceased fish.
“We’ve actually used tournaments as good way to contribute mortalities to science,” Tufts said. “We take them back to the lab and get as much information as possible about diets, conditions, etc.
“Over the last decade, people have been releasing more fish instead of harvesting them. We’ve tried to work with tournaments and it’s been a good relationship to get those fish for science. It’s been a win-win.”

Significant strides
B.A.S.S. staff always strive for 100% live release, but water temperature, rough weather and individual fish health play into the equation. The New York Department of Environmental Conservation has collected Elite event mortalities for aging and other scientific study; but while B.A.S.S. Conservation Director Gene Gilliland views this as a respectfully beneficial use of legally harvested fish, he offers keen perspective.
“Let’s get away from the idea of talking about mortality and talk more about survival,” Gilliland said. “That’s important because 20-40 yeas ago, all those fish that got caught in a tournament or by recreational anglers were harvested.
“Now, there are a small number of fish that don’t make it. But when you look at the percentage that survive to be caught again, compared to what it used to be, it’s night and day.”
Protecting the resource
That survival rate is no accident and Gilliland lauds the considerable effort that B.A.S.S. anglers and weigh-in staff invest into fish care.
“A lot of people don’t know about all the things that our anglers and tournament staff go through to try to maximize that survival,” he said. “It’s hidden behind the scenes, so they make assumptions that all the fish we bring to weigh-ins are dying.
“We know that’s not true and studies that have been done across the country on (tournament survival) over the past 20 years will back us up on that. Yes, there is mortality, but it’s a relatively small percentage.”
Most importantly, B.A.S.S. interacts with various state and provincial agencies throughout the tournament range. As Gilliland said, feedback from fishery managers indicates that tournament mortalities do not significantly impact bass populations.
“When fishery managers are looking at things over the long term, that’s what we have to consider,” Gilliland said. “It’s not just one day, it’s the long-term management that we’re looking at.”